Internacional

Noticias del mundo hoy, 28 de octubre de 2025

28/10/2025 El Oriente - Redacción

Las principales noticias internacionales

Noticias del mundo hoy, 28 de octubre de 2025 / Foto: cortesía Noticias del mundo hoy, 28 de octubre de 2025 / Foto: cortesía

Noticias del mundo hoy, 28 de octubre de 2025 / Foto: cortesía


HURACANES ATLÁNTICO

El Oriente

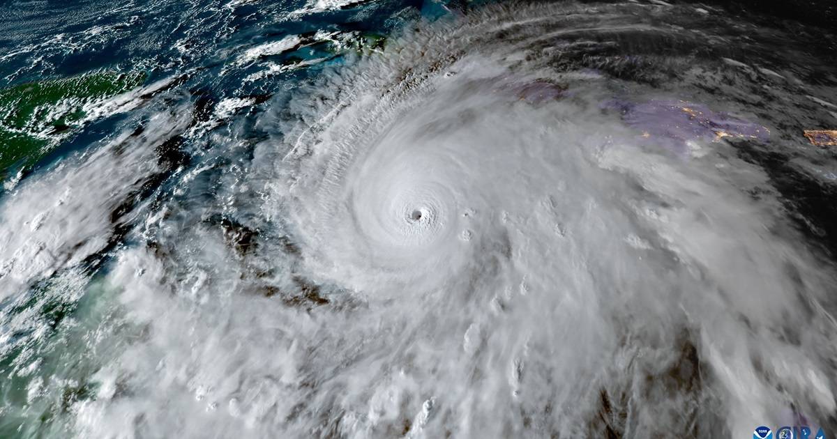
Los efectos del huracán Melissa, de categoría 5, golpean ya Jamaica con fuertes vientos y lluvias torrenciales y se prevé que tocará tierra en esta isla en las "próximas horas" , informó este martes el Centro Nacional de Huracanes (NHC) de Estados Unidos, que mantiene también alertas para las provincias orientales de Cuba, las Bahamas centrales y del sureste.


PORTUGAL INMIGRACIÓN

El Oriente

Lisboa - El Parlamento de Portugal vota la nueva Ley de Nacionalidad, impulsada por el Gobierno de centroderecha y que pone trabas a la obtención de la ciudadanía portuguesa, en una sesión donde no está claro cuál será el resultado debido a la división entre los partidos.


UCRANIA GUERRA

El Oriente

Estocolmo - Los países nórdicos y la presidenta de la Comisión Europea (CE), Ursula von der Leyen, se reúnen en Estocolmo en el marco del Consejo Nórdico, la cumbre política más importante de la región, en la que tratarán su apoyo a Ucrania.


CUBA EEUU

El Oriente

Naciones Unidas - La Asamblea General de la ONU vota de nuevo una resolución sin efectos vinculantes contra las sanciones de Estados Unidos a Cuba, que se prolongan ya 63 años y han supuesto un duro golpe a la economía de la isla.

WhatsApp

Comunícate con El Oriente a través de WhatsApp

Conviértete en reportero. Envíanos tú material al +593 98 016 3921 (No recibimos llamadas)

+593 98 016 3921 (No recibimos llamadas) Envianos tu Mensaje

VIDEOS | MENSAJES | FOTOS | NOTAS DE VOZ

Versión Impresa

Edicion Impresa
Descarga Versión Impresa

Edición No.47 / Diciembre 2025

Ver Todas las Ediciones